Art Place Construction Notice 11/30/2020

Giving Tuesday is tomorrow December 1. There are many organizations that can use support this year. I encourage readers to support The Parks Main Street, a 501(c)(3) organization that supports small and local businesses in Riggs Park and Manor Park. Donations may be made at https://theparksmainstreet.org/support/donate.
The Parks Main Street is also inviting residents to attend a community meeting tomorrow December 1 at 7:00 pm for review of fiscal year 2020 activities, plans for fiscal year 2021, and an opportunity to support small businesses. To register to see what the Main Street has been up to, click Giving Tuesday Meeting Registration.
By David Kosub (Contributor)
Remember back earlier this year, the joy of saddling up to a bar, ordering some tater tots and a beer? I bet you are getting that warm and fuzzy feeling inside too! Well, that was the time pre-COVID-19 of course. This was also a time when the Washington Metropolitan Area Transit Authority (WMATA) released their proposed FY 2021 budget (see this post as a reminder of days gone by).
I was pleased to read, at that time, WMATA was interested in continuing its investment in transit-oriented development at the Fort Totten Metro station (see CRB 0005 on page 215 of the proposed budget). This proposed action spurred on my desire to learn more about the planning, design, and related station improvement concepts under evaluation.
Before we go further, a quick history lesson is in order. This was not WMATA’s first Fort Totten development rodeo. In the summer of 2018, WMATA and Donatelli Development announced they would no longer pursue plans to redevelop the surface parking lot at Fort Totten into a mixed-used project (see this post). Before that, at the end of 2013, WMATA issued an RFP, which did not get any takers (see this post). I assume WMATA still considers this site as one with much potential, which is why it was mentioned in their proposed budget.
Back to the future, I inquired about the development opportunities under consideration as part of my comments on their proposed budget in March. In addition to some comments related to enhancing safety for visually-impaired riders (see these stories in the Washington Post and WAMU to understand where I’m coming from), I also provided the following comments to them as it related to transit oriented development at the Fort Totten metro station:
“Any proposed planning for transit-oriented development at Fort Totten metro should also align with concepts described in the Upper Northeast element of the proposed District of Columbia’s Comprehensive Plan (such as Policy UNE-1.1.3, Policy UNE-1.2.1, Policy UNE 2.7, and Policy UNE-2.7.1). Moreover, the future design of the Fort Totten metro site, including the streetscape, should consider elements that enhance safety, walkability, a uniform visual feel, include native vegetation in landscaping, underground powerlines, traffic mitigation, and trash/recycling receptacles.
I appreciated reading about WMATA’s actions to address its environmental impact and sustainability goals. As part of this endeavor, I recommend WMATA consider allocating funds to transforming as much of its impervious surfaces into green space. For instance, in Policy UNE-1.2.7 of the Comprehensive Plan referenced earlier, it calls for the District to do something similar with District-owned institutional spaces. Fort Totten Metro could benefit from such a transformation too. For instance, part of the paved parking lot, large concrete islands, and wider sidewalks at this site could be converted into more environmental friendly spaces with native vegetation, trees, rain gardens, and storm water retainment.”
WMATA’s statements about transit oriented development at Fort Totten station continued into the budget which was subsequently passed too. Well, that was then, and this is now. As most folks know, WMATA is now facing some budget constraints as a result of the pandemic, so it’s unclear what steps will be made regarding transit oriented development at the Fort Totten station going forward.
So, I reached out to their real estate office to learn more. After a few months of silence (and multiple emails from me), here is some of what they recently shared with me:
“In short, we are doing what we call “advanced transportation facility plans”, which is more detailed analysis of how to improve the infrastructure at Fort Totten, which includes first and foremost commuter parking, but also the Kiss & Ride and bus loop. We are very interested in making the property available again for development, but two threshold decisions first need to be made before we issue a new joint development solicitation: (1) the DC Comprehensive Plan needs to be approved by the DC Council; and (2) determination of what the future parking need is at this station.”
In a follow up message, they go on to say, “The developer (once selected) actually designs the buildings and the site. WMATA’s work is limited to figuring out what transit facilities (i.e. parking, bus bays, etc.) the site needs to accommodate, so that the developer can plan our requirements into their plans.”
WMATA does not have any studies to share at this point. But, they added, “Donatelli had done their design work back in 2014/15 or so and this study that WMATA is commissioning (not yet under contract) will be completed in about 12 months.”
Let’s keep tabs on this project to ensure the future of the Fort Totten metro station and surrounding area meets the needs and desires of the community. I’ll share any new information I learn going forward.

From The Parks Main Street
Experience the Riggs Park and Manor Park’s Dazzle
Whether you’re a local resident or just visiting for a few days—stop by The Parks Main Street Holiday Lights to explore, shop, and dine this holiday season.
The businesses of The Parks Main Street will be decked out with holiday lights from December 1 to December 31. Wander the corridor with neighbors and visitors to enjoy amazing holiday events, activities, and promotions throughout the month. Don’t forget to VOTE for your favorite light displays between December 1st and 14th.
The Parks Main Street Holiday Lights is part of a broader, citywide DC Holiday Lights effort encouraging residents and visitors to shop small and explore the District this holiday season. Starting December 1st, you can participate in our citywide Holiday Lights Scavenger Hunt for a chance to win great prizes from local DC businesses! Check back for more details.
Interested in volunteering to help businesses hang their lights? Email info@TheParksMainStreet.org.
The Smithsonian National Zoo in partnership with Pepco is taking Zoo Lights on the road. The Zoolights Express truck featuring “Panda Claws” and light displays will visit each ward on a Friday or Saturday between November 27 and December 19. The Ward 5 tour will be on December 11 starting at the corner of South Dakota Avenue and Riggs Road NE at 6:00 pm.

The ZooLights Express truck will visit one Washington, D.C., ward on the following Friday and Saturday nights from 6-8 p.m.
h/t Gavin Baker
ANC 5A held its monthly public meeting on November 18, 2020. Commissioners present: Grace Lewis – Parliamentarian (5A02); Emily Singer Lucio – Secretary (5A03); Ronnie Edwards – Chair (5A05); Claudia Barragan (5A06); Sandi Washington – Treasurer (5A07); Gordon Fletcher – Vice Chair (5A08). Commissioner Washington departed early. Lucky her, the meeting lasted until almost 10:30 pm.
DC Office of Attorney General
The DC Office of Attorney General Office of Consumer Protection has a price gouging taskforce. Concerns about price gouging can be made on the consumer protection hotline at (202) 442-9828 or email at consumer.protection@dc.gov. Other consumer protection complaints can also be submitted to the hotline.
MPD Report
The Riggs Park neighborhood is in MPD public service area (PSA) 406. MPD holds a Sector 2 meeting covering PSAs 405, 406, and 407 the second Tuesday of each month from 6:00 pm to 7:00 pm. Carjackings are up citywide, but there have been a couple of arrests of individuals believed responsible for multiple carjacking offenses. MPD stated there is a spike in shootings between crews from recently released individuals. With the holiday season approaching, consider having packages delivered to safe locations.
There have been a few shootings in Riggs Park recently, specifically in the 800 block of Jefferson Street NE and the 800 block of Oglethorpe NE. MPD 4D Captain Bryan Christian stated some of the violence can be attributed to individuals who were released pending their hearing date due to COVID-19. In response to my question about having a permanent camera installed on Oglethorpe Street, Captain Christian stated that is a decision made by MPD leadership. In response to my question about whether the city provides case management services to these recently released individuals, Captain Christian stated the city does site visits to individuals’ homes through the Court Services Supervision and Offender Supervision Agency for DC (CSOSA).
ANC 5A08 Public Safety Task Force
For the ANC 5A08 public safety task force, MPD will work with Commissioner Gordon Fletcher (5A08) to set up a regular walk with MPD and other DC government agencies such as DDOT or DPW. MPD asked Commissioner Fletcher to have at least six residents available for the walks. The walks are supposed to be resident-led.
Ward 5 MOCR Report
Malik Miller is leaving his role as the Ward 5 mayor’s office liaison (MOCR). Nokomis Hunter will be the new Ward 5 MOCR.
Ward 5 State Board of Education
Ward 5 SBOE Representative Zachary Parker noted that DCPS has opened CARES classrooms in some schools, including LaSalle-Backus. View Mr. Parker’s presentation here. DCPS has a school readiness reopening checklist, but it does not include testing.
After the meeting, Mr. Parker sent the following points about CARES classrooms.
In addition, following the meeting, Mr. Parker shared that OSSE has a new Special Education Resource Hub, which includes many resources for families. Also, the Office of the Ombudsman is a great resource for counseling and intervention for families who feel as though their needs are not being met at school. The Office works to mediate conflicts between schools and families.
Mr. Parker and his predecessor Ward 5 SBOE representative Mark Jones are standing up an organization called Ward 5 Education Trust to provide financial support to Ward 5 public schools.
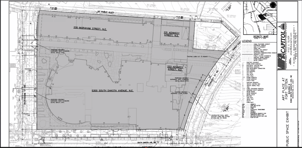
Art Place at Fort Totten
The commission voted to support the public space application for two curb cuts on Ingraham Street NE and one curb cut on Kennedy Street NE for the second phase of Art Place at Fort Totten.
ANC 5A Office Space
The ANC has finally received the self-insured document it needs to occupy space at the Modern at Art Place, which is being provided as a community benefit.
ANC 5A Website
Commissioner Emily Singer Lucio (5A03) is continuing work on selecting a website designer to design a new ANC 5A website. The ANC plans to release a survey to solicit input on the features and resources residents would like to see in a new site.
Comprehensive Plan Amendments
Commissioner Fletcher testified on behalf of ANC 5A at the recent Comp Plan hearing. Written testimony may be submitted for the record. The record closes at 5:00 pm on Decemer 3, 2020.
Rocketship Social Justice Public Charter School
Correction 11/24/2020: Social Justice School presented at the meeting not Rocketship.
Rocketship Social Justice School received its charter earlier this year and opened the 2020-2021 school year with 50 students. Most of the students live in Wards 4, 5, and 8, and are engaging in distance learning. Approximately 10 students are receiving in-person instruction. These in-person seats were prioritized for students experiencing homelessness and for students whose parents are first responders.
Cityblock Health Services

CityBlock Health Services is seeking citywide support for its certificate of need application to DC’s State Health Planning and Development Agency (SHPDA) to establish “ambulatory community based health services.” Cityblock serves clients primarily in Wards 5, 7, and 8. They are not looking to open a physical location in ANC 5A; they are simply doing community outreach to councilmembers and ANC communities in which they provide services.
Lamond-Riggs Library Board of Zoning Adjustment Requests
Update 11/24/2020: View DCPL’s presentation here.
The ANC voted to support DC Public Library requests for special exception relief from the DC Board of Zoning Adjustment (BZA) to support the rebuilding of the Lamond-Riggs Library.
Lot occupancy
One request is to slightly exceed the allowable lot occupancy. For the R-2 zone in which the library sits, the allowable lot occupancy is 40 percent. The existing library actually already exceeds that restriction, occupying 47 percent of the lot. The new library will occupy 49.5 percent of the lot.
Parking


The other request concerns relief from minimum vehicle parking requirements. The library is supposed to have a minimum of 11 vehicle parking spaces. The existing library does have 11 spaces, but one is a noncompliant handicap space because it is outside of the lot line and another one has limited access because of its location next to the library’s dumpster. The new library will only have 9 parking spaces, one being a fully compliant handicap parking space, because of site constraints and the amount of amenities that need to be accommodated on the lot. The BZA case number is 20392. The hearing will be on January 13, 2021.
DCPL is still waiting for its raze permit. They expect to receive that in the coming weeks and the building will be taken down shortly thereafter. View the new library design and other rebuilding information on the project website at https://www.dclibrary.org/newlamondriggs.
UDC/Pepco Ag. Pod Project
UDC and Pepco are teaming up to establish an “Ag. Pod” at UDC’s Backus Urban Food Hub, housed at UDC Backus at 5171 South Dakota Avenue NE. The system will be used to grow food year-round. See this post for more information. UDC has two surveys seeking community input.
(1) A community survey to introduce the project and capture people’s interest:
https://udc.iad1.qualtrics.com/jfe/form/SV_6MyQ2BqV0l2uWVL
(2) A community survey to help the team select the best wrap design for the project: https://www.surveymonkey.com/r/B9N696S
UDC is requesting input on both surveys by December 4, 2020.
Miscellaneous
The ANC does not usually have a regular public meeting in December. The ANC will welcome three new commissioners to represent single member districts 5A01, 5A02, and 5A06 in January 2021.

The end of an era. The KFC/Taco Bell located at 220 Riggs Road NE across from the Walmart has permanently closed. A new Chick-fil-A will replace the restaurant, a topic covered in several posts on the blog. The developer is still awaiting permits.

There will soon be a new addition to the Bertie Backus Food Hub housed at UDC’s Backus campus (the large hoop houses visible on the Galloway Street NE side of the campus). At ANC 5A’s recent meeting, Acting Director of UDC CAUSES Dr. Kamran Zendehdel shared that UDC is teaming up with Pepco to house an “Ag. Pod” at the food hub. This food production system will be used to grow vegetables and herbs year round to supply food in food desert areas around the city. The team is working on an entrepreneurial training model to train interested residents in Wards 5, 7, and 8. Currently, the Backus food hub contains a hydroponics system, aquaponics system, native plant nursery, compost, and community garden. Buildout of a community incubator commercial kitchen that will be accessible at low cost is also in progress.
View UDC’s presentation here.
UDC is requesting input on two surveys related to the Ag. Pod project.
(1) A community survey to introduce the project and capture people’s interest:
https://udc.iad1.qualtrics.com/jfe/form/SV_6MyQ2BqV0l2uWVL
(2) A community survey to help the team select the best wrap design for the project: https://www.surveymonkey.com/r/B9N696S
UDC is requesting input on both surveys by December 4, 2020.
The Ag. Pod measures 50 feet by 10 feet. For comparison, the aquaponic system is 30 feet by 84 feet. The goal is to install the pod in December or early January.


Muralist Jay Hudson painted a new mural, “Divided We Fall, United We Drink” at Hellbender for a scaled-down Riggs Park Art Crawl and Hellbender’s sixth anniversary. Hellbender is located at 5788 2nd Street NE.
The mural replaces one painted last year (pictured below) that ended up getting painted over.

3 Starts Brewing in Lamond is hosting a nonperishable food drive this Saturday, November 21, 2:00 pm to 7:00 pm. Drop off nonperishable foods and get one dollar off beer. Special request for low-sodium and whole grain products. Local vendors will also be selling unique holiday gifts from 2:00 pm to 4:00 pm. The brewery is located at 6400 Chillum Place NW.

At last night’s ANC 5A meeting, Ward 5 State Board of Education Representative Zachary Parker mentioned that he and the former state board rep Mark Jones are having an informational meeting tonight at 6:00 pm about standing up an organization to support Ward 5 schools called Ward 5 Education Trust.
Those of us who live on the Ward 5 side of Riggs Park are actually zoned for Ward 4 schools, but there are a number of charter schools in Ward 5 that serve Riggs Park families. I do not have any more information than what was briefly shared at the meeting last night, but I think the idea is to develop an organization that will be able to provide financial support PTA-style to Ward 5 schools. Some schools in the District have strong PTAs that have lots of money to fund supplies and all sorts of enrichment activities for those school communities, but they are few and far between in Ward 5.
If you are interested in learning more and being involved in this effort, you can register for the informational meeting at this link.


The quarterly National Park service meeting with Congresswoman Eleanor Holmes Norton’s office originally scheduled for December 2, 2020, is postponed until first quarter 2021. In the interim, inquiries about NPS issues may be sent to Norton.Casework@mail.house.gov.
ANC 4B Regular Public Meeting
Monday, November 23, 2020, 7:00 p.m.
Virtual Meeting Details:
For video participation via Zoom on a computer or mobile device, click this link: https://us02web.zoom.us/j/84214249196?pwd=c3E0bzJmMFpoQ1JwVWFtNmhsVkduUT09.
Meeting ID: 842-1424-9196.
Password: 964318
For voice-only participation on a telephone, dial (301) 715-8592. Meeting ID: 842-1424-9196. Password: 964318.
To watch (but not participate) via YouTube: https://youtu.be/Ba2OO0NJ7cU.
Agenda
1. Call to Order & Roll Call
2. Administrative Items:
A. Consideration and Approval of November Agenda
B. Instructions re Participation in Virtual Meeting
C. Approval of October Regular Public Meeting Minutes
D. Approval of Advisory Neighborhood Commission 4B Annual Report – 2020
E. Treasurer’s Report & Update re Grants
F. Commissioner Updates (if applicable)
3. Reports:
A. Metropolitan Police Department, 4th District (10 minutes)
B. Office of Ward 4 Councilmember Brandon T. Todd (3 minutes)
C. Mayor’s Office of Community Relations and Services (3 minutes)
D. Ward 4 State Board of Education Representative Frazier O’Leary (3 minutes)
4. Consent Calendar:
Resolution 4B-20-1101: Requesting Installation of Speed Humps on the 200 – 500 Block of Quackenbos Street, NE (Commissioner Brooks)
Resolution 4B-20-1102: Requesting Installation of Speed Humps on the Unit Block of Kennedy Street, NE, between North Capitol Street, NE, and 1st Street, NE(Commissioner Brooks)
Resolution 4B-20-1103: Requesting Installation of Speed Humps on 7th Street, NW, between Fern Place, NW, and Dahlia Street, NW(Commissioner Yeats)
Resolution 4B-20-1104: Requesting Installation of Speed Humps on the 600 Block of Madison Street, NW (Commissioner Redd)
5. Presentation: The Parks at Walter Reed Development Team & Resolution 4B‑20-1105: Supporting Proposed Concept Design for The Parks at Walter Reed Building QRS (Commissioner Palmer and Commissioner Bromaghim – 10 minute presentation; 5 minute discussion)
6. Presentation: Rank the Vote DC and Resolution 4B-20-1106: Calling for Ranked Choice Voting in the District of Columbia (Commissioner Palmer – 5 minute presentation; 5 minute discussion)
7. Resolution 4B-20-1107: Supporting the Preliminary Design Concept and Providing Initial Community Input for 6928 Maple Street, NW (Commissioner Bromaghim – 5 minute presentation; 5 minute discussion)
8. Presentation: Cozen O’Conner and Resolution 4B-20-1108: Supporting Requested Variance for 11 Nicholson Street, NW (BZA 20390) (Commissioner Johnson – 5 minute presentation; 5 minute discussion)
9. Resolution 4B-20-1109: Supporting DDOT’s Notice of Intent to Modify the Intersection of North Capitol & Longfellow Streets, NE (Commissioner Brooks – 3 minute presentation; 3 minute discussion)
10. Community Concerns: *Please use the “Raise Hand” button via Zoom or *9 via telephone to speak during community concerns. The Commission will provide additional details regarding how to present community concerns via the virtual meeting at the start of the meeting.* This is the time for questions or statements from members of the public about issues on the agenda or other areas of concern. Please limit your statement or question to one minute. You may also contact members of the Commission before and after Commission meetings.
11. Adjournment
Next Regular Public Meeting: Monday, January 25, 2021, 7:00 p.m.
Contact your Advisory Neighborhood Commissioner: ANC 4B01 Evan Yeats (4B01@anc.dc.gov); ANC 4B02 Erin Palmer (4B02@anc.dc.gov); ANC 4B03 Scot Knickerbocker (4B03@anc.dc.gov); ANC 4B04 Brenda Parks (4B04@anc.dc.gov); ANC 4B05 Perry Redd (4B05@anc.dc.gov); ANC 4B06 Tiffani Nichole Johnson (4B06@anc.dc.gov); ANC 4B07 Geoff Bromaghim (4B07@anc.dc.gov); ANC 4B08 Alison Brooks (4B08@anc.dc.gov); ANC 4B09 LaRoya Huff (4B09@anc.dc.gov)
ANC 5A Public Meeting
November 18, 2020
6:45 pm
Join Zoom Meeting: https://us02web.zoom.us/j/86719715920?pwd=ZklRYmd3aEVxcU93QXVSRzF3Uy84dz09
Meeting ID: 867 1971 5920
Passcode: 690348
Dial In: 301 715 8592
All residents will be muted. Individuals will be called on once acknowledged by the Chair.
Agenda Items
Update 11/18/2020: This meeting will be postponed until first quarter 2021
Congresswoman Eleanor Holmes Norton will be holding her quarterly meeting with the National Park Service (NPS) on December 2, 2020. This is a good opportunity to ask about issues pertaining to NPS parkland and property in the neighborhood. Email nortonevents@mail.house.gov for the Zoom link. See the press release below.
Norton to Hold Quarterly Community Meeting with the National Park Service and D.C. Residents
Nov 2, 2020 Press Release
WASHINGTON, D.C. — Congresswoman Eleanor Holmes Norton (D-DC) will hold a virtual community meeting open to all District of Columbia residents with representatives from the National Park Service (NPS) on Wednesday, December 2, 2020 at 6:00 p.m. Her quarterly community meetings have been popular with her constituents. Virtually all D.C. neighborhood parks are within NPS’s jurisdiction.
“Our parks, allowing us to get fresh air, have been our lifelines during this pandemic. My quarterly meetings have become the most effective way for me to hear from constituents and work to resolve concerns on issues related to parks and federal land that fall under the jurisdiction of the National Park Service,” Norton said. “I look forward to hearing from my constituents.”
To attend, email NortonEvents@mail.house.gov for the Zoom link. The event will be open to the public and to the media.
By David Kosub (Contributor)
Congratulations goes out to Ms. V and Culture Coffee Too! Our local Riggs Park coffee shop located at 300 Riggs Road NE received a grant from the Mayor’s Office of Nightlife and Culture to winterize their outdoor dining setup. As reported on DCist yesterday, “each restaurant could get up to $6,000 for tents, heaters, propane, lighting, furniture and advertising” through the District’s Streatery Winter Ready Grant program.
Culture Coffee Too will use their funds to purchase a tent and heaters. Ms. V wanted me to share the following with the community, “Y’all come down and enjoy the tent when it goes up…around November 20.” I personally cannot wait to have one of their black bean burgers with a peanut butter and banana smoothie under that tent! But, don’t wait until the 20th, go in as soon as you can to share the good vibes. Tomorrow, November 7, beginning at 11:00 am, there will be live painting and music outdoors for a modified Riggs Park art crawl.
Support your local small businesses! The winter will be a difficult time and they will need our help. A complete list of the District’s restaurants receiving a grant can be found here.
ANC 5A held its monthly public meeting on October 28, 2020. Commissioners present: Grace Lewis – Parliamentarian (5A02); Emily Singer Lucio – Secretary (5A03); Ronnie Edwards – Chair (5A05); Claudia Barragan (5A06); Sandi Washington – Treasurer (5A07); Gordon Fletcher – Vice Chair (5A08)
The ANC used this meeting primarily to discuss ANC business.
ANC Budget
The ANC is supposed to prepare a budget for the new fiscal year. They have to get public input, so there could be a special meeting in the next couple of weeks for that. Think about if you have specific ideas for how the ANC should use its funds.
ANC Annual Report
The ANC is supposed to prepare an annual report. The ANC did not submit a 2018-2019 report, so this year’s annual report will cover activities from 2018 to 2020.
Comprehensive Plan (Comp Plan)
Chair Ronnie Edwards (5A05) thanked the residents who worked on the ANC’s resolution to the DC Office of Planning (OP) regarding the proposed Comp Plan amendments (see part one and part two of ANC 5A’s submission). OP responded to the ANC’s submission back in April of this year. OP accepted two of the ANC’s comments for inclusion in OP’s draft plan, acknowledged around thirty-five comments as consistent with and already incorporated elsewhere in the draft plan, and rejected around nine comments as either inconsistent with or out of the scope of the plan. OP’s response letter stated the agency would be interested in talking with the ANC about its submission (language included in responses to all of the ANCs), so Chair Edwards mentioned having OP at a meeting to do so. (Given that OP’s response was sent in April and the Council is having a hearing on the proposed amendments on November 12 and 13, I am not sure when a conversation will realistically happen). The ANC plans to testify at the Comp Plan hearing.
ANC 5A Website
Commissioners Gordon Fletcher (5A08) and Emily Singer Lucio (5A03) are leading the project to revamp the ANC’s website. The ANC will secure at least three bids for the design. Commissioner Claudia Barragan (5A06) implored the ANC to contract with someone who lives in the District (preferably in Ward 5). After all, she noted, the ANC often asks developers to hire Ward 5 residents and do business with local companies so it only makes sense for the ANC to hold itself to the same standard. If you or anyone you know may be interested in designing a website for the ANC that can be easily maintained, reach out to Commissioners Fletcher and Lucio for a scope of work.
ANC Office Space
The saga that is the ANC office space at Art Place at Fort Totten continues. The developer is requesting a self-insured document from the ANC so that the ANC may occupy the space free of charge. Getting that document is turning out to be a little difficult. During the meeting, Commissioner Fletcher, who represents the SMD where Art Place sits, displayed a document that other ANCs have received from District government for a similar purpose to explain what he needs. Director of the Office of ANC Gottlieb Simon was in the meeting and seemed to suggest that getting a similar document to ANC 5A would require jumping through a little more hoops for some reason. But they are working on it.
Art Place at Fort Totten

An item not on the agenda was a public space application for curb cuts for the second phase of Art Place at Fort Totten. The permit expediter handling the application for the developer appeared at the meeting to explain that the request is for two curb cuts on Ingraham Street NE and one curb cut on Kennedy Street NE. The full commission was not aware of the application so they will review it for the next meeting.
Miscellaneous
The ANC will work on recording its public meetings.
The next regularly scheduled meeting will be on November 18 due to the Thanksgiving holiday.

On October 30, 2020, Mayor Muriel Bowser broke ground on Riggs Park Place, a new EYA townhome community at the corner of South Dakota Avenue and Riggs Road NE that will have 90 townhomes (five below market rate), 80 rental units for seniors, and retail. The project will be built in two phases beginning with the townhomes. Over 50 percent of the homes have been sold.
This project has been in the works in some form or fashion since at least 2006. During the groundbreaking, Gwen Cofield and I were recognized for our efforts in representing the community (view a video snippet here). Pictures and the full press release below.








Mayor Bowser Breaks Ground on Riggs Park Place, Bringing 170 New Homes to Ward 4
Friday, October 30, 2020
New Development to Deliver Homeownership Opportunities, Apartments for Seniors, and Retail Options
(Washington, DC) – Today, Mayor Muriel Bowser and Ward 4 Councilmember Brandon Todd, along with Office of the Deputy Mayor for Planning and Economic Development (DMPED), broke ground on Riggs Park Place in Ward 4, a long-awaited housing community of townhomes, apartments, and retail located at the intersection of Riggs Road and South Dakota Avenue, NE.
“Today is a special day in Ward 4 – we are excited to start construction on Riggs Park Place, a community where DC residents from all walks of life can call home,” said Mayor Bowser. “We’re going to keep investing in projects that bring housing, particularly affordable housing, to neighborhoods across all eight wards.”
The first phase of Riggs Park Place will feature 90 new townhomes for sale, five of which will be designated as affordable homeownership opportunities. Phase two will be an 80-unit mixed-use senior apartment community with at least 30 affordable units. The 90 townhomes will be modern, two-, three-, and four-bedroom floor plans close to Fort Totten Metro Station, a café and shopping across Riggs Road, the newly renovated Lamond-Riggs Library, as well as cultural and art experiences at Art Place, an adjacent mixed-use development offering apartments, retail, a new fitness center, a children’s museum, and more.
“I couldn’t be prouder to break ground at this historic development after working for years with the community, developers and other stakeholders,” said Councilmember Todd. “This new community in the Riggs Park/Fort Totten neighborhood is a huge win for our seniors who wish to age in place, our families and individuals alike who are looking for an affordable place to live. It is these economic opportunities and creation of affordable housing that will uplift our communities and help us make an equitable recovery.”
“This project is an example of how the Bowser Administration continues to push ahead on complex, and long-stalled projects because we know that having safe and affordable housing options and neighborhood amenities for our communities is what our residents want,” said Deputy Mayor for Planning and Economic Development John Falcicchio. “We also want to thank this community for their active engagement in this project for many years and for sticking with us to get to today.”
Other financial partners for Riggs Park Place include EYA, JBG Smith and Paramount Development, with its lender, Eagle Bank.
“Riggs Park Place, and our partnership with the city, exemplify EYA’s ability to effectively work with residents, local jurisdictions, and our financial partners to both create value and bring meaningful projects to life,” said Aakash Thakkar, EVP at EYA. “Despite uncertain times, this partnership has shown that there is tremendous demand for high-quality, attainably priced new housing in the region. The public-private nature of the project, its revitalization impact on the neighborhood, and its delivery of missing middle townhomes that address a broad demographic are all core tenets of EYA’s mission. We appreciate the partnership with JBG Smith, Paramount Development, Eagle Bank, the District, and the community that enabled us to move the project forward.”
Mayor Bowser reaffirmed her commitment to investments in affordable housing with her Fiscal Year 2021 budget, recognizing that both short- and long-term efforts must be ongoing to preserve housing affordability and stability for all District residents. The Mayor’s FY21 budget includes an investment of $100 million in the Housing Production Trust Fund – for the sixth consecutive year – and a $1 million investment in the Housing Preservation Fund.
At the start of her second term, Mayor Bowser set a bold goal to deliver an additional 36,000 units of housing – including at least 12,000 units of affordable housing – by 2025. From January 2019 through July 2020, the District has produced 10,658 units, of which 1,692 are affordable. You can track the District’s progress toward #36000by2025 at open.dc.gov/36000by2025.